
Description:
This 20 axle schnabel car is owned by BNSF Logistics, who recently purchased Transportation Technology Solutions. TTS purchased the car from Consumers Energy, in August 2013.
Specification:
|
Capacity without bridge |
980,000 lbs. |
|
Capacity with bridge |
710,000 lbs. |
|
Number of axles (38" wheels) |
20 |
|
Empty Car Length |
129' 6" |
|
Maximum Loaded Length with Bridge |
167' 6" |
|
Weight |
430,000 lbs. |
|
Weight of loading bridge |
102,000 lbs. |
|
Length of Loading Bridge |
38' 0" |
|
Maximum Vertical Load Shifting ability |
19.5" to either side |
|
Maximum Horizontal Load Shifting ability |
13" (+10, -3) |
|
Width |
9' 9" |
|
Height |
14' 5" |
|
Horizontal Curve |
185' empty, 230' loaded |
|
Vertical Curve |
2,000 feet (car can't be humped) |
|
Power Supply |
Hydraulic pumping unit at each end powered by diesel engines. |
![]() |
![]() |
![]() |
![]() |
![]() |
![]() |
![]() |
![]() |
![]() |
![]() |
![]() |
![]() |
![]() |
![]() |
![]() |
![]() |
![]() |
![]() |
![]() |
![]() |
![]() |
![]() |
![]() |
|
![]() |
![]() |
![]() |
![]() |
![]() |
![]() |
![]() |
![]() |
![]() |
![]() |
![]() |
![]() |
![]() |
![]() |
![]() |
![]() |
![]() |
![]() |
![]() |
![]() |
![]() |
![]() |
![]() |
![]() |
![]() |
![]() |
![]() |
![]() |
![]() |
![]() |
![]() |
![]() |
![]() |
![]() |
![]() |

| Publication | Date | Page | Comments |
|---|---|---|---|
| Trains | 10/1982 | 18 | One photo and caption of the car loaded with a transformer |
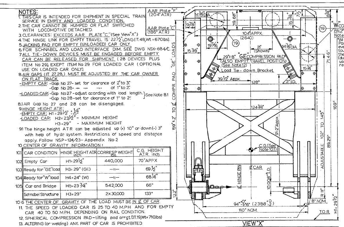
Equipment Diagrams:
The following car diagrams are from my collection.
![]() |
Side view of car636K |
![]() |
End view of car267K |
![]() |
Multiple views of car865K |

